
Comentariul autorului:
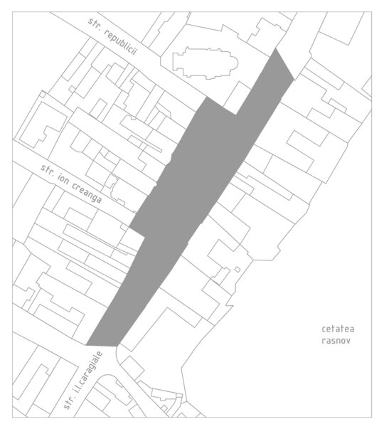
Topografia terenului natural defineşte asupra pieţei un spaţiu cu vizibilitate descendentă dinspre strada Ion Luca Caragiale şi de pe versantul de sub cetatea Râşnov.
Clădirile care împrejmuiesc piaţa, ţesutul construit învecinat şi cetatea Râşnov constituie elemente ancoră care susţin şi întăresc caracterul zonei şi potenţialul de dezvoltare al Pieţei Unirii. Printre clădirile importante ale localității grupate în jurul pieței se numără noua și vechea clădire a Primăriei, Biserica evanghelică, clădirea Gasthof (1875) și clădirea cinematografului Amza Pellea, un loc simbolic al unui eveniment cultural special ce are loc în Râșnov – Festivalul de Film și Istorii. Pentru a activa comunitatea locală și a o conecta cu turiștii atrași de evenimentele culturale, de valoarea și frumusețea locului, circulația auto a fost deviată prin pasajul rutier subteran. Piața Unirii, marktplatz-ul vechii comunități săsești astăzi diminuată, trebuie să continue să fie locul simbolic al Râșnovului modern, al exprimării coeziunii sociale și în același timp să transmită cu pasiune valorile trecutului într-o lume contemporană, dinamică, cu propriile ritmuri de evoluție, de informare și cunoaștere.
Proiectul propune realizarea unui sistem de gradene pe laturile de sud şi est, care să devină în acelaşi timp spaţiu de întâlnire şi relaxare, cât şi un spaţiu permeabil din punct de vedere al circulaţiei, o relaţie directă între oricare dintre accese/construcţii şi orice punct al pieţei.
Fluxurilor pietonale le sunt restituite traseele directe dinspre şi spre oricare dintre punctele de interes ale pieţei, fiind încurajate şi susţinute de puncte distribuite în locuri cheie, atât ca vizibilitate cât şi ca parcurs funcţional al spaţiului cu elemente de mobilier urban, spaţii de odihnă mobilate şi plantate sau elemente de interacţiune şi ambianţă precum fântânile cu jet de pardoseală sau fântânile de tip ceaţă (fog). Se încurajează perspectivele oferite natural de către topografia terenului, întărind caracteristica denivelărilor terenului natural prin oferirea posibilității de folosire a reliefului ca mediu de relaxare și observare a spațiului pieței.
Iluminatul public se realizează cu elemente de tip reflectoare la înălţime medie, conturând astfel atmosfera de piaţă, de spaţiu larg, încurajând un joc dramatic de lumini care să susţină caracterul pieţei atât în activităţile cotidiene, cât şi pe parcursul unor evenimente speciale. Pe lângă iluminatul faţadelor clădirilor, iluminatul ambiental completează atmosfera generală prin corpuri liniare încastrate, amplasate în contratrepte şi gradene şi corpuri de iluminat ale coroanelor copacilor.
Piaţa devine astfel o scenă unde la nivel urban locuitorii şi turiştii sunt actorii unui spectacol care activează spaţiul public, întăresc legăturile comunitare într-un eveniment unificant care include fondul construit. Priveliştea către Cetatea Râşnov, dinamica umană definită de fluxuri de circulaţie şi acţiuni cotidiene, plantaţiile şi amenajarea spaţiului neconstruit definesc astfel coerent spaţiul public cu toate ierarhiile sale.
Spaţiul Pieţei Unirii este conformat pentru a găzdui diverse evenimente programate, de la concerte la festivaluri sau târguri dar și pentru a te primi într-o experiență tranzitorie (ne)programată, spre a te opri spontan și a zăbovi pur și simplu...
Proiectul susține astfel transformarea pieței într-un loc al dialogului social, al educării, al întâlnirii istoriei cu formele sale moderne ale expresiei artistice, fie ca spațiu al vecinătății pentru comunitatea locală, fie ca spațiu al evenimentelor cultural artistice pentru vizitatori.